Vazio sanitário 2024: combatendo a ferrugem-asiática da soja
Entenda as expectativas e estratégias por trás dessa prática de manejo, sua importância e impactos no combate à principal doença que afeta a cultura da soja...
BUSCAR
×
Entenda as expectativas e estratégias por trás dessa prática de manejo, sua importância e impactos no combate à principal doença que afeta a cultura da soja...
Atualizado em 07/03/2025. O enfrentamento do greening é o maior desafio da citricultura brasileira, exigindo inovação, controle rigoroso e colaboração do setor. Saiba mais. A citricultura...
A ascensão do capim pé-de-galinha em diversas regiões do Brasil reforça a necessidade de estratégias integradas de manejo com uso de herbicidas pré e pós-emergentes.
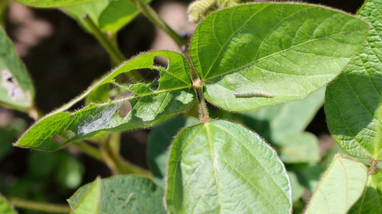
Lagartas na safra 2023/24 de soja acendem alerta para monitoramento e manejo intensificado, evitando prejuízos na produtividade. Conheça as estratégias recomendadas. A safra 2023/24 apresentou desafios...
A cultura do algodão enfrenta um grande desafio no estádio reprodutivo: a ameaça das lagartas. Veja como a tecnologia pode ser eficiente para nenhuma lagarta passar...
As últimas safras têm sido as mais desafiadoras para os produtores em relação aos desafios fitossanitários como pragas, doenças e nematoides. Mas estratégia de elite tem...
Produto de choque é essencial no manejo de pragas do milho, propiciando controle rápido e proteção prolongada das lavouras. Confira os benefícios. Na complexidade do cenário...
A incidência do complexo de Spodopteras tem aumentado nas áreas de cultivo de soja, mas resultados demonstram que produtores podem contar com solução efetiva em campo
Melhorias no setor canavieiro incluem novas tecnologias em herbicida para cana-de-açúcar, que são aliadas no controle de plantas daninhas, para uma produção mais eficiente
A Spodoptera frugiperda é responsável por perdas substanciais na produção agrícola em diversas regiões produtoras do Brasil e do mundo todos os anos